Battered Louisiana Coast Braces For Another Storm: Hurricane Delta | KLIF 570 News & Info | KLIF-AM
×

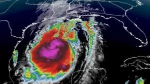
Battered Louisiana Coast Braces For Another Storm: Hurricane Delta

Oct 9, 2020 | 6:31 AM